Prodej pozemku, 1045 m2, Vonoklasy

5 740 000 czk / za nemovitost
Včetně provize RK, advokátní úschovy kupní ceny a kompletních právních služeb.

Prodej pozemku pro bydlení, 1045 m2, Vonoklasy

Nabízíme k prodeji stavební pozemek parc. č. 33/6 v katastrálním území Vonoklasy o výměře 1 045 m². Pozemek se nachází v klidné rezidenční části obce s výbornou dostupností do Prahy a příjemným okolím vhodným pro rodinné bydlení.

Dle územního plánu je pozemek určen jako plocha k bydlení PB1 – jednopodlažní zástavba rodinnými domy. Lze zde realizovat rodinný dům (1 nadzemní podlaží + podkroví), přičemž reálně využitelná zastavitelná část pozemku pro dům činí přibližně 400 m².

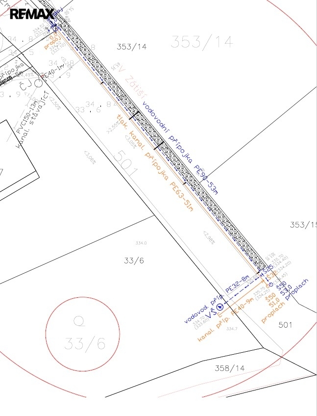
V rámci inženýrských sítí je již řešeno připojení elektřiny – byla podána žádost u ČEZ a počítá se s připojením včetně vybudování pilíře na hranici pozemku do 15.6.2027. Voda a kanalizace jsou aktuálně v řešení – existuje situační návrh napojení a probíhá komunikace s obcí ohledně finálního schválení. Tyto přípojky si vybuduje nový majitel na vlastní náklady.

Přístup na pozemek je zajištěn po asfaltové komunikaci ve vlastnictví obce.

Lokalita Vonoklasy nabízí klidné bydlení v přírodě s rychlou dostupností do Prahy – na Smíchov se dostanete cca za 20–25 minut autem. V obci a blízkém okolí se nachází základní občanská vybavenost, širší služby pak nabízí nedaleké Černošice.

Upozornění:
Nad částí pozemku vede nadzemní vedení vysokého napětí s ochranným pásmem cca 7 m na každou stranu, kde není možné umisťovat stavby, ale lze využívat jako zahradu. I přes toto omezení zůstává dostatečný prostor pro umístění rodinného domu.

Koupi pozemku lze financovat hypotečním úvěrem, s jehož vyřízením vám rádi pomůžeme.

HLAVNÍ VÝHODY:
stavební pozemek dle územního plánu (PB1 – bydlení)
výměra 1 045 m²
klidná lokalita v blízkosti Prahy
elektřina v procesu řešení (ČEZ – pilíř na hranici pozemku)
voda a kanalizace v procesu řešení
asfaltová příjezdová komunikace (obecní)
možnost výstavby rodinného domu
financování hypotékou možné
Číslo zakázky: 218-NP07019
Město: Vonoklasy
Celková plocha: 1045 m2
Typ nemovitosti: Pozemky
Druh pozemku: Stavební bydlení
Garáž: Ne
Doprava: Silnice, Autobus
Balkón: Ne
Lodžie: Ne
Výtah: Ne

Mám zájem o nemovitost

Tuto nemovitost vám rád(a) představí

Lubomír Polášek

Polášek Lubomír


 
Tel. na makléře:
+420 725 293 031

Potřebujete poradit / máte zájem o prohlídku?

Zadané údaje zpracováváme dle těchto podmínek.